A+
A-
微信 朋友圈 微博 QQ空间

01版:头版

02版:综合新闻

03版:社会生活

04版:特别报道

05版:专题

06版:时事

07版:时事

08版:发现桂林

返回 2024年12月19日

公 示

桂林日报      2024年12月19日     

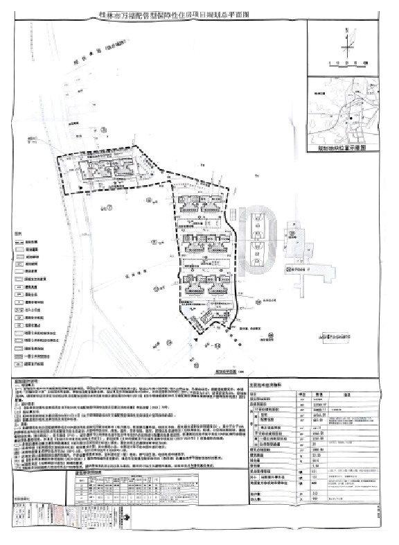
  根据《中华人民共和国城乡规划法》要求,现将我局拟批的《桂林市万福配售型保障性住房项目》规划方案予以公示(具体内容及图纸详见桂林市自然资源局网站、项目现场、自然资源局公示栏)。
  该项目位于相人山路以东、马背山以北。具体规划内容详见公示图纸。
  申请人及利害关系人如有异议,请以书面形式将意见(署真实姓名和有效联系方式)于公示期内送达临桂区西城中路69号创业大厦西辅楼桂林市政务中心3楼D区13号窗口(联系电话:5625041)。申请人及利害关系人依法享有要求听证的权利。
  公示期限:自公示刊登日起,至顺延满7个工作日止
  公示网址:zrzyj.guilin.gov.cn
  咨询电话:0773-2850440
      桂林市自然资源局
       2024年12月17日