A+
A-
微信 朋友圈 微博 QQ空间

01版:头版

02版:综合新闻

03版:循着总书记视察桂林足迹踔厉笃行

04版:县区新闻

05版:专 版

06版:健康桂林

07版:时 事

08版:时 事

返回 2023年06月02日

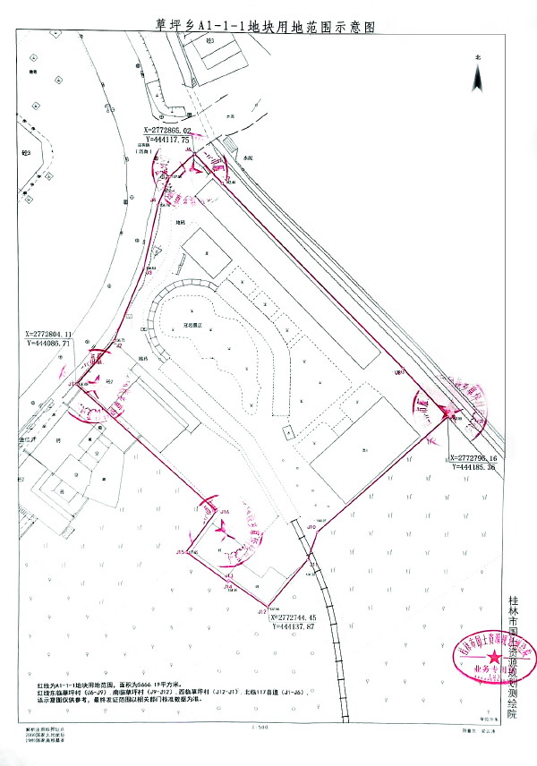
关于桂林市草坪回族乡A1-1-1
地块土地确权的公告

桂林日报      2023年06月02日     

  现将桂林市草坪回族乡A1-1-1地块,面积为5666.19平方米的土地确权审核结果予以公告。该宗地土地权属性质为国有,四至范围:
  东:临草坪村(J6-J9)。
  南:临草坪村(J9-J12)。
  西:临草坪村(J12-J1)。
  北:117县道(J1-J6)。
  如对本宗地权属等有异议的单位(个人),请持相关证明材料在2023年7月3日前到我局自然资源确权登记科(临桂区青莲路8号投资发展商务大厦南楼328室,联系电话:0773-2891669),申请办理复查手续。逾期没有提出异议的,即依法确定该宗地为国有土地。
    
    桂林市自然资源局
     2023年6月2日